Langkau ke kandungan utama
MENU
UTAMA
INFO KORPORAT
Pengenalan
Latar Belakang
Garis Masa MPS
Visi, Misi, Moto & Objektif MPS
Logo
Bunga Rasmi
Lagu
Kawasan Pentadbiran
Demografi Penduduk
Pengurusan
Perutusan Yang Dipertua
Senarai Yang Dipertua
Senarai Yang Dipertua
Profil Yang Dipertua
Profil Ketua Pegawai Digital - CDO
Carta Organisasi
Profil Ahli Majlis
Profil AMMKN
Pegawai Kanan SUK Selangor
Direktori Pengurusan MPS
Piagam & Pencapaian
Piagam Pelanggan
Pencapaian Piagam Pelanggan
EKSA
ISO
Anugerah & Pencapaian
Jumlah Pengguna Transaksi Online
Dasar Kualiti
Dasar Keselamatan ICT
Pelan Strategik MPS
Carta Alir Perkhidmatan
Carta Alir Jabatan Korporat
Galeri & Penerbitan
Gambar
Video
Buletin
Laporan Tahunan
Brosur & Poster
Teks Ucapan
Keratan Akhbar
Buku Panduan Aduan
Buku Kod Etika Kerja
Momen
Lain-lain Penerbitan
INFO JABATAN
Khidmat Pengurusan
Perbendaharaan
Perundangan
Penilaian dan Pengurusan Harta
Perancang Bandar
Korporat
Kejuruteraan
Pengurusan Sisa Pepejal & Kesihatan
Bangunan
Pelesenan
Penguatkuasa & Keselamatan
Landskap
Teknologi Maklumat
Pembangunan Masyarakat
Audit Dalam
Pusat Setempat (OSC)
Pesuruhjaya Bangunan (COB)
Kontrak & Ukur Bahan
Bahagian Urus Setia
Unit Integriti
PERKHIDMATAN
Cukai Taksiran
Tempat Letak Kereta
Penyelenggaraan Landskap
Hebahan Awam
Tender & Sebutharga
Bas Smart Selangor
Perkhidmatan Pembersihan
Perkhidmatan E2E
KEMUDAHAN AWAM
Pasar
Sewaan Dewan
Gerai Makan
Medan Selera
Taman Rekreasi
Kemudahan Komuniti
Sewaan Perkhidmatan Persembahan
PERUNDANGAN
Akta, Kanun dan Perintah
Undang-Undang Kecil
Enakmen, Peraturan dan Kaedah-Kaedah
Garis Panduan
Kadar Kompaun
Polisi Tidak Memberi dan Menerima Hadiah
PELANCONGAN & REKREASI
Maskot Wira Rimba
Bukit Lagong
Gua Damai
Muzium Orang Asli
Taman Rimba Templer
Hutan Rekreasi Kanching
Taman Rimba Komanwel
Bandar Warisan Batu Arang
Institut Penyelidikan Perhutanan Malaysia (FRIM)
Kompleks Batu Caves
Tasik Biru Kundang
Kolam Air Panas
ARKIB
Berita
Galeri Gambar
Tender & Sebutharga
Laporan Tahunan
Pencapaian Piagam Pelanggan
BANTUAN
Peta Laman
Soalan Lazim
Maklum Balas Portal
Borang carian
Carian
Menara MPS
Persiaran 3, Bandar Baru Selayang,
68100 Batu Caves, Selangor.
UTAMA
INFO KORPORAT
Pengenalan
Latar Belakang
Garis Masa MPS
Visi, Misi, Moto & Objektif MPS
Logo
Bunga Rasmi
Lagu
Kawasan Pentadbiran
Demografi Penduduk
Pengurusan
Perutusan Yang Dipertua
Senarai Yang Dipertua
Profil Yang Dipertua
Profil Ketua Pegawai Digital - CDO
Carta Organisasi
Profil Ahli Majlis
Profil AMMKN
Pegawai Kanan SUK Selangor
Direktori Pengurusan MPS
Piagam & Pencapaian
Piagam Pelanggan
Pencapaian Piagam Pelanggan
EKSA
ISO
Anugerah & Pencapaian
Jumlah Pengguna Transaksi Online
Dasar Kualiti
Dasar Keselamatan ICT
Pelan Strategik MPS
Carta Alir Perkhidmatan
Galeri & Penerbitan
Gambar
Video
Buletin
Laporan Tahunan
Brosur & Poster
Teks Ucapan
Keratan Akhbar
Buku Panduan Aduan
Buku Kod Etika Kerja
Momen
Lain-lain Penerbitan
INFO JABATAN
Khidmat Pengurusan
Perbendaharaan
Perundangan
Penilaian dan Pengurusan Harta
Perancang Bandar
Korporat
Kejuruteraan
Pengurusan Sisa Pepejal & Kesihatan
Bangunan
Pelesenan
Penguatkuasa & Keselamatan
Landskap
Teknologi Maklumat
Pembangunan Masyarakat
Audit Dalam
Pusat Setempat (OSC)
Pesuruhjaya Bangunan (COB)
Kontrak & Ukur Bahan
Bahagian Urus Setia
Unit Integriti
PERKHIDMATAN
Cukai Taksiran
Tempat Letak Kereta
Penyelenggaraan Landskap
Hebahan Awam
Tender & Sebutharga
Bas Smart Selangor
Perkhidmatan Pembersihan
Perkhidmatan E2E
KEMUDAHAN AWAM
Pasar
Sewaan Dewan
Gerai Makan
Medan Selera
Taman Rekreasi
Kemudahan Komuniti
Sewaan Perkhidmatan Persembahan
PERUNDANGAN
Akta, Kanun dan Perintah
Undang-Undang Kecil
Enakmen, Peraturan dan Kaedah-Kaedah
Garis Panduan
Kadar Kompaun
Polisi Tidak Memberi dan Menerima Hadiah
PELANCONGAN & REKREASI
Maskot Wira Rimba
Bukit Lagong
Gua Damai
Muzium Orang Asli
Taman Rimba Templer
Hutan Rekreasi Kanching
Taman Rimba Komanwel
Bandar Warisan Batu Arang
Institut Penyelidikan Perhutanan Malaysia (FRIM)
Kompleks Batu Caves
Tasik Biru Kundang
Kolam Air Panas
ARKIB
Berita
Galeri Gambar
Tender & Sebutharga
Laporan Tahunan
Pencapaian Piagam Pelanggan
BANTUAN
Peta Laman
Soalan Lazim
Maklum Balas Portal
Anda di sini
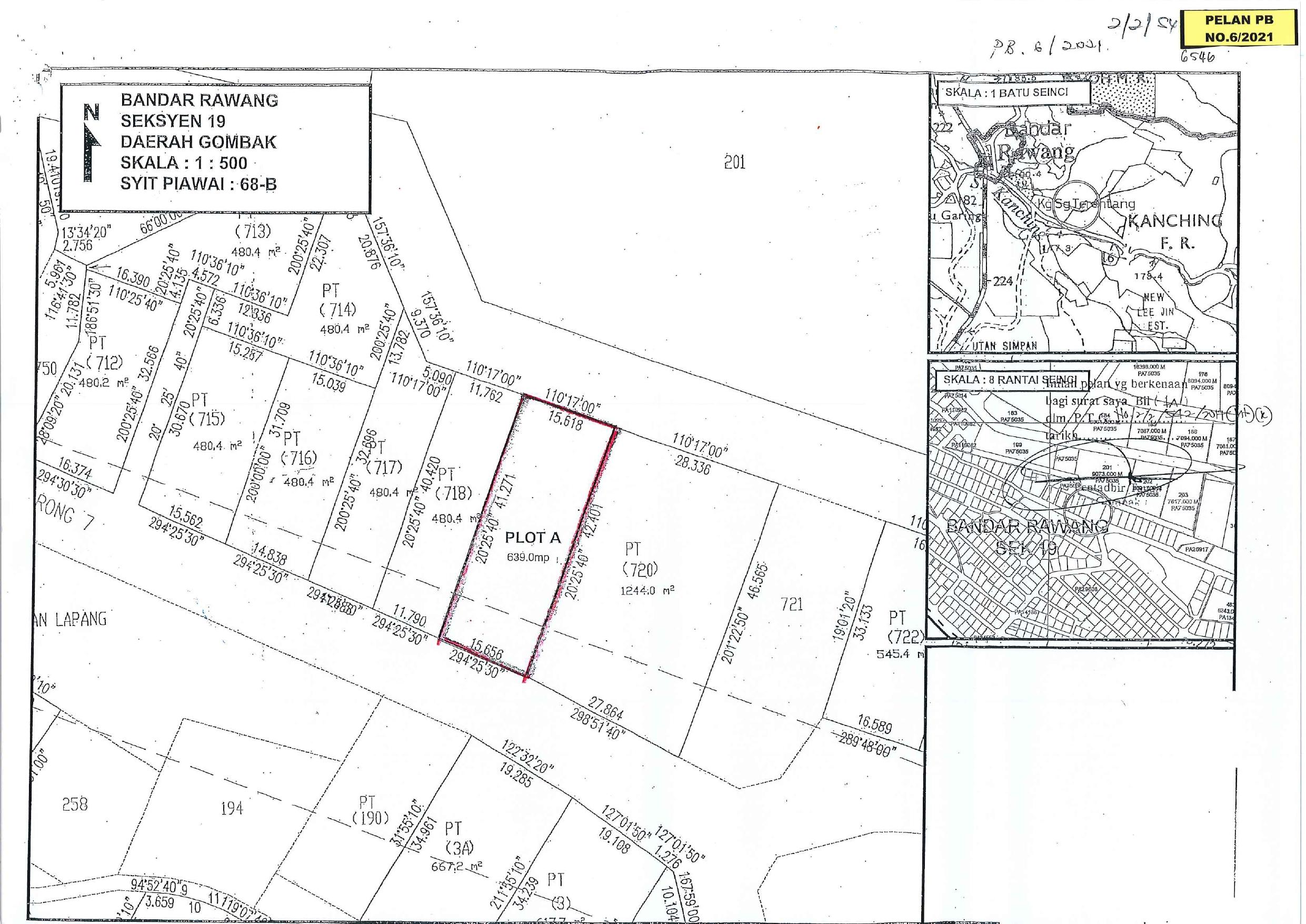
Kenyataan Permohonan Pelupusan Tanah Secara Tender - Seksyen 19, Daerah Gombak & Pekan Pengkalan Kundang
Kenyataan Permohonan Pelupusan Tanah Secara Tender - Seksyen 19, Daerah Gombak & Pekan Pengkalan Kundang
MyGOV
OSC
KDNK SELANGOR
KKD
MySMS
SISMAPS
PADU
SELANGOR
JPA
BLESS